应用介绍
软件介绍

SonarPhone真的是钓鱼和水上运动爱好者的福音!它可以实时探测水下情况,不仅能看到鱼群,还能了解水底地形,减少碰撞风险。这个应用让远离信号的地方也能使用,独立的wifi热点设计真是太贴心了!通过简单的设置,就能享受高端声纳设备带来的体验,绝对值得尝试。如果你想提升钓鱼成功率或者确保水上安全,这款应用绝对是你的理想选择。
软件特色
户外活动助手分类
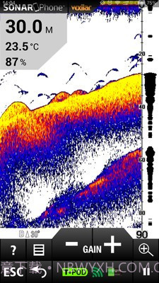
声纳图像清晰,操作界面友好
实时水下探测,精准显示鱼群分布
声纳图像清晰,定制化设置让我体验更佳
钓鱼工具推荐位置
使用场景
潜水员可以利用这个应用提前了解潜水环境,提高安全性
钓鱼时用来观察鱼的分布情况
皮划艇运动中查看水下地形避免碰撞
特别适合钓鱼行业和水上运动领域
使用指南
学习难度
新手上手非常简单,大概几分钟就能熟悉基本操作。建议先看一下官方教程视频,会更快掌握技巧。
使用技巧
• 在钓鱼时多观察水下情况,可以调整钓具位置提高成功率
• 避免在潮流强劲的时候使用,以免影响探测效果
• 出发前确保设备充电充足,并提前检查网络连接
常见问题
• 在极深水域可能会遇到信号不稳定的问题,可以尝试重新连接热点
• 使用过程中遇到界面卡顿,重启app通常能解决
相关推荐
软件截图
历史版本
3.9.15
当前版本
34.43MB
2025-08-25




